• <li id="iiiii"><table id="iiiii"></table></li>
  • <li id="iiiii"><tt id="iiiii"></tt></li>
  • <tt id="iiiii"><table id="iiiii"></table></tt>
    <tt id="iiiii"><rt id="iiiii"></rt></tt>
    <tt id="iiiii"><table id="iiiii"></table></tt>
  • <li id="iiiii"></li><li id="iiiii"><tt id="iiiii"></tt></li>
    <li id="iiiii"></li>
    <li id="iiiii"></li>
    <li id="iiiii"></li>
    人民網
    人民網>>貴州頻道>>凱里視窗

    凱里萬潮:特色產業興 群眾日子甜

    2023年09月01日16:39 |
    小字號

    金秋時節,萬潮大地田疇似錦,瓜果飄香、雞鴨成群、魚肥水美,又是一年好“豐”景。

    走進虎爐公路旁的萬潮鎮萬潮村葡萄園,放眼望去,郁郁蔥蔥的葡萄架下,一串串顆粒飽滿、顏色鮮艷的葡萄掛滿枝頭,甚是喜人。置身其間,空氣中到處彌漫著葡萄的清香和甘甜,小小葡萄“串”起了群眾甜蜜新生活。

    葡萄豐收。

    葡萄豐收。

    “我們萬潮‘水晶’‘陽光玫瑰’葡萄今年長勢很好,市場價格也好,我種植了6畝左右,有5萬元左右的收入!”葡萄架下,果農龍大和正忙著將采摘下的葡萄打包、裝箱?!斑@幾年,村里發展很快,各項硬件設施得到了改善,葡萄也賣得越來越好,加上種植水稻和打工收入,年收入8萬元左右,我們的日子是越過越好了!”龍大和笑呵呵地說。

    據萬潮村黨委副書記楊廣介紹,萬潮村有931戶3783人,除了發展500畝精品葡萄種植等主導產業外,還發展了藍莓、運輸、養殖等產業,如今村民人均月收入達3000元以上,走出了產業富民的鄉村振興新路子。

    立足本地資源稟賦,搶抓現代農業發展機遇,做足“土特產”文章,萬潮鎮正按照“一村一品”“一村一特”的發展思路,推行“黨支部+合作社+農戶”發展模式,不斷擦亮萬潮葡萄等特色產業“金名片”,全力激發產業發展“新動能”,繪就鄉村振興“甜蜜”圖景。

    筆架村林下“福氏”雞。

    筆架村林下“福氏”雞。

    在萬潮鎮筆架村楊柳塘林下養雞示范基地,凱里市恩澤生態養殖專業合作社董事長文金洲和愛人郭德英正在配制秘制的雞飼料,只見他們一聲令下,成群的“福氏”雞便飛奔出籠,前來覓食,之后,便追逐嬉鬧著奔向山林,寂靜的山間頓時熱鬧起來。

    “我們的‘福氏’雞由本地土雞培育改良,經過中草藥調喂,號稱山地跑雞,肉質鮮美,可以冷水下鍋,只需放生姜和鹽等簡單調料即可食用,現存欄2.6萬羽,年出欄6萬羽,今天我通過微信朋友圈又賣了100多單?!蔽慕鹬拚f,一直在金玉商場設置有固定攤位,提供送貨上門服務,年產值可達600余萬元左右,同時帶動周邊10余名村民就業、20余戶農戶入股分紅,實現抱團發展,共同致富,現正努力拓寬市場,打響品牌。

    在州、市、鎮、村的共同努力下,如今的凱里市恩澤生態養殖農民專業合作社掌握了從孵蛋、育苗到養殖的全套養殖技術。2017年—2018年,獲得貴州省農業委員會頒發的“無公害農產品證書”“無公害農產品產地認定證書”。2019年進入全省肉禽、禽蛋養殖企業50強。

    目前,萬潮在抓好葡萄藍莓等精品水果和特色林下雞等主導產業外,冷水魚、生豬、狗肉香等一大批特色產業也持續為萬潮鎮的鄉村振興注入蓬勃動力。

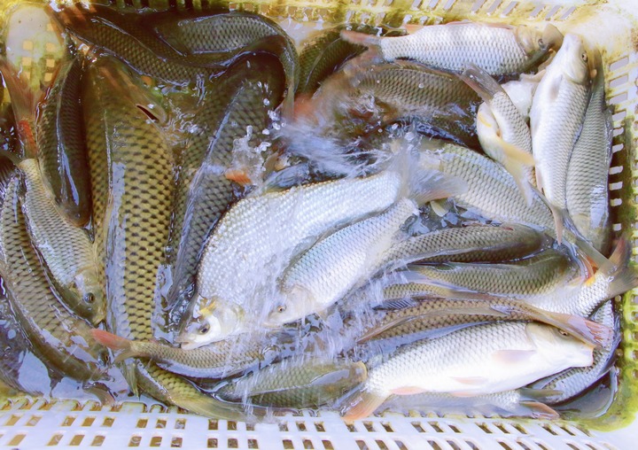
    筆架新鮮出網的冷水。

    新鮮出網的冷水魚。

    “1、2、3,起魚!”占地面積30余畝的筆架村溝腰坡組冷水魚養殖基地,一口口池塘錯落有致,池塘邊10多名工人正嫻熟地撒網、捕魚、分揀、稱重、裝車,忙得不亦樂乎,看著一大批新鮮出網的冷水魚,大家臉上洋溢著收獲的喜悅。

    “我們村有8戶從事養魚產業,目前建成魚塘35個,養殖的冷水魚肉質細嫩,味道鮮美,前幾天一天就賣了200-300斤,遠銷凱里及周邊縣市?!惫P架村黨支部書記潘希凡介紹,鯉魚魚種主要來自凱里市農業農村局水產站,養殖周期為2到3年一批,成品魚出塘時可達3斤左右,年產量7.5萬斤左右,按每斤市場平均售價15元估算,年產值可達110萬余元,成為群眾增收的新引擎。

    “我們立足生態、山地優勢調整農業產業結構,聚焦品種培優、品質提升、品牌打造和標準化生產,促進特色產業不斷提質升級,推動農業‘接二連三’,形成了‘冬春有蔬菜,夏秋有瓜果’的產業發展格局,為鄉村振興賦能添彩?!比f潮鎮黨委書記楊青江表示。

    如今的萬潮,特色產業興,群眾日子甜,生活越過越火紅。(圖/文 粟瓊、楊濤、蔣運花)

    (責編:吳鋒、陳康清)

    分享讓更多人看到

    返回頂部
    亚洲男人第一av网站